- Rathaus & Politik
- Unsere Stadt
- Kultur & Tourismus
- Wirtschaft
Verfahren zur Aufstellung des Bebauungsplans „Am Bergel, Abschnitt 1“ Öffentliche Auslegung des Entwurfs des Bebauungsplanes gemäß § 3 Abs. 2 Baugesetzbuch
Verfahren zur Aufstellung des Bebauungsplans „Am Bergel, Abschnitt 1“ Öffentliche Auslegung des Entwurfs des Bebauungsplanes gemäß § 3 Abs. 2 Baugesetzbuch
Der Stadtrat der Stadt Grünstadt hat in seiner öffentlichen Sitzung vom 30.09.2025 die öffentliche Auslegung des Bebauungsplanentwurfs „Am Bergel, Abschnitt 1“ mit Begründung und Umweltbericht in der Fassung 08/2025 sowie den wesentlichen bereits vorliegenden Umweltinformationen beschlossen (§ 3 Abs. 2 Baugesetzbuch).
Mit diesem Bebauungsplan sollen die planungsrechtlichen Voraussetzungen für einen zusätzlichen Mitarbeiter- und Besucherparkplatz für das Kreiskrankenhaus Grünstadt mit 56 teilweise überdachten Einstellplätzen geschaffen werden.
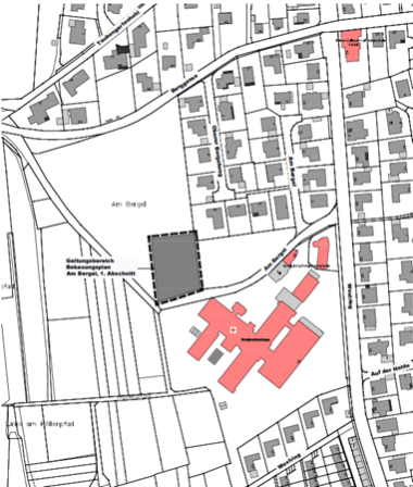
Der Bebauungsplan „Am Bergel, Abschnitt 1“ überplant hierzu eine rd. 2.200 qm große Teilfläche des insgesamt rd. 1,6 ha umfassenden weinbaulich genutzten Grundstücks Flst. Nr. 1044/1, westlich des bestehenden Besucherparkplatzes bzw. nördlich der Straße Am Bergel.
Die Umgrenzung des Geltungsbereichs des aufzustellenden Bebauungsplanes „Am Bergel, Abschnitt 1“ ist im nachfolgenden Kartenausschnitt dargestellt.

Die Durchführung der öffentlichen Auslegung erfolgt nun gem. § 3 (2) S. 1 BauGB in Form einer Veröffentlichung des Entwurfs des Bebauungsplanes mit Begründung und Umweltbericht in der Fassung 08/2025 sowie der wesentlichen bereits vorliegenden Umweltinformationen im Internet sowie einer parallelen öffentlichen Auslegung der entsprechenden Planunterlagen in gedruckter Form.
Die Veröffentlichung im Internet und die öffentliche Auslegung des Bebauungsplanentwurfs „Am Bergel, Abschnitt 1“ erfolgen in der Zeit vom 17.11.2025 bis einschließlich 23.12.2025. Innerhalb des Auslegungszeitraums können die ausgelegten Planunterlagen hier abgerufen werden.
Außerdem können die o.g. Planunterlagen gem. § 3 (2) S. 2 BauGB in gedruckter Form im Rathaus der Stadt Grünstadt, -Bauabteilung-, Kreuzerweg 7, Erdgeschoss, im Flurbereich vor Zimmer 1, während der allgemeinen Öffnungszeiten Montag, Dienstag, Donnerstag und Freitag, von 8:30 Uhr bis 12:30 Uhr und Donnerstag von 14:00 Uhr bis 18:00 Uhr eingesehen werden. Hierbei wird auch Gelegenheit gegeben, sich zur Planung zu äußern bzw. diese zu erörtern.
Der Inhalt dieser Bekanntmachung und die veröffentlichten Planunterlagen sind auch über das Geoportal des Landes Rheinland-Pfalz abrufbar (www.geoportal.rlp.de).
Während des Auslegungszeitraums können von jedermann Stellungnahmen zur Planung auf elektronischem Weg an bauleitplanverfahren@gruenstadt.de oder bei Bedarf auch schriftlich an die Stadtverwaltung Grünstadt, Kreuzerweg 2, 67269 Grünstadt, vorgebracht werden.
Es sind folgende Arten umweltbezogener Informationen verfügbar:
Informationen zum Schutzgut Mensch und Gesundheit, insbesondere
- Umweltbericht vom August 2025, WSW & Partner GmbH, Kaiserslautern, mit Angaben zu Auswirkungen von Starkregen, von Geräuschemissionen sowie der Erholungsfunktion des Plangebiets
- Umwelttechnischer Bericht zur Radonmessung vom Januar 2018, ICP Rodenbach, mit Angaben zur natürlichen Radonkonzentration in der Bodenluft
- Schalltechnische Untersuchung vom Februar 2024, Modus Consult Karlsruhe, mit Angaben zu den Geräuscheinwirkungen auf benachbarte schutzbedürftige Nutzungen und die erforderlichen Schallschutzmaßnahmen zur Einhaltung der maßgeblichen Immissionsrichtwerte
Informationen zum Schutzgut Tiere und Pflanzen sowie biologische Vielfalt, insbesondere
- Umweltbericht vom August 2025, WSW & Partner GmbH, Kaiserslautern, mit Angaben zum Zustand von Natur und Landschaft im Plangebiet, geschützten Biotopen und (europarechtlichen) Schutzgebieten, heutiger realer und potenzieller natürlicher Vegetation, Tier- und Pflanzenarten sowie Darstellung und Bewertung der Auswirkungen der Planung auf Natur und Landschaft auch im Sinne der naturschutzrechtlichen Eingriffsregelung sowie Maßnahmen zur Vermeidung/Verringerung von Beeinträchtigungen.
- Artenschutzrechtliche Vorprüfung zur 13. FNPÄ, igr AG, Rockenhausen vom Mai 2014 mit Angaben zu den potenziellen Auswirkungen auf die planungsrelevanten Vorkommen von streng geschützten Arten und europäischen Vogelarten i.S.v. § 44 (1) BNatSchG sowie artenspezifische Maßnahmen zur Vermeidung von Verbotstatbeständen
- Natura 2000-Vorprüfung zur 13. FNPÄ, igr AG, Rockenhausen vom Mai 2014 mit Angaben zu den potenziellen Auswirkungen auf ein benachbartes FFH-Gebiet und Vogelschutzgebiet sowie den vorsorgenden Vermeidungs- und Minderungsmaßnahmen
- Landesjagdverband, Gensingen, Stellungnahme vom 01.04.2025 mit Anregungen zur Eingriffsregelung und Vorschlägen zu möglichen Pflanz- und Pflegemaßnahmen im Hinblick auf wild lebende Tierarten im Bereich der Ausgleichsfläche
- Untere Naturschutzbehörde, Bad Dürkheim, Stellungnahme vom 01.04.2025 mit Anregungen zur Eingriffsregelung und dem Umfang von möglichen Ausgleichsmaßnahmen
Informationen zum Schutzgut Fläche und Boden, insbesondere
- Umweltbericht vom Oktober 2025, WSW & Partner GmbH, Kaiserslautern mit Angaben zur Bodenart und -nutzung, Ertragspotenzial, Flächeninanspruchnahme sowie Darstellung und Bewertung der Auswirkungen der Planung auf die Bodenfunktionen auch im Sinne der naturschutzrechtlichen Eingriffsregelung sowie Maßnahmen zur Vermeidung/Verringerung von Beeinträchtigungen
- Baugrunderkundung vom November 2025, ICP, Rodenbach, mit Angaben zum Bodenaufbau und Schichten, chemischer Bodenzusammensetzung, Grundwasserstand und Versickerungsfähigkeit des Untergrundes
- Landesamt für Geologie und Bergbau, RLP, Mainz, Stellungnahme vom 24.03.2025 mit Hinweisen zu Aufbereitungsrückständen aus historischer Eisenverhüttung
Informationen zum Schutzgut Wasser, insbesondere
- Umweltbericht vom August 2025, WSW & Partner GmbH, Kaiserslautern, mit Angaben zu Grund- und Oberflächenwasser, möglicher Lage in Überschwemmungsgebieten, Niederschlagsmengen und Betroffenheit von Starkregenereignissen, sowie Darstellung und Bewertung der Auswirkungen der Planung auf das Wasserpotenzial auch im Sinne der naturschutzrechtlichen Eingriffsregelung sowie Maßnahmen zur Vermeidung/Verringerung von Beeinträchtigungen
- Wasserhaushaltsbilanz vom August 2025, WSW & Partner GmbH, Kaiserslautern, mit Angaben zu den Auswirkungen auf den natürlichen Wasserhaushalt und den vorgesehenen Maßnahmen zur Minimierung der planbedingten Regenwetterabflüsse
- Struktur- und Genehmigungsdirektion Süd, Regionalstelle Wasserwirtschaft, Abfallwirtschaft und Bodenschutz, Neustadt, Stellungnahme vom 10.04. 2025, mit Hinweisen zur schadlosen Abwasser- und Niederschlagswasserbeseitigung, Starkregen und Überflutungsschutz
Informationen zum Schutzgut Luft und Stadtklima
- Umweltbericht vom August 2025, WSW & Partner GmbH, Kaiserslautern, mit Angaben zur siedlungsklimatischen Funktion des Plangebiets insbesondere in Bezug auf die thermische Situation bzw. Kaltluftproduktion und -abfluss, sowie Darstellung und Bewertung der Auswirkungen der Planung auf das Luft- und Klimapotenzial auch im Sinne der naturschutzrechtlichen Eingriffsregelung sowie Maßnahmen zur Vermeidung/Verringerung von Beeinträchtigungen
Informationen zum Schutzgut Landschaftsbild
- Umweltbericht vom August 2025, WSW & Partner GmbH, Kaiserslautern mit Angaben zur Bedeutung des Plangebiets für das Landschaftsbild, sowie Darstellung und Bewertung der Auswirkungen der Planung auf das Landschaftsbild auch im Sinne der naturschutzrechtlichen Eingriffsregelung sowie Maßnahmen zur Vermeidung/Verringerung von Beeinträchtigungen
Informationen zum Schutzgut Kulturelles Erbe
- Stellungnahme Generaldirektion Kulturelles Erbe, Direktion Landesarchäologie, Speyer, vom 18.03.2025 mit Angabe von zwei archäologischen Fundstellen am Plangebiet sowie zu Auflagen, die bei der Bauausführung bzw. beim baubedingten Freilegen von archäologischen Funden/Kleindenkmälern zu berücksichtigen sind.
Darüber hinaus wird auf folgendes hingewiesen:
Nicht fristgerecht abgegebene Stellungnahmen können bei der Beschlussfassung über den Bebauungsplan unberücksichtigt bleiben, § 4a (5) S. 1 BauGB.
Die Verarbeitung personenbezogener Daten erfolgt auf der Grundlage von Artikel 6 Abs. 1 Buchstabe e der Datenschutzgrundverordnung (DSGVO) in Verbindung mit § 3 BauGB und dem Rheinland-Pfälzischen Datenschutzgesetz. Sofern die Stellungnahmen ohne Absenderangaben abgegeben werden, ergeht keine persönliche Mitteilung über das Ergebnis der Prüfung. Weitere Informationen entnehmen Sie bitte dem Formblatt „Informationspflichten bei der Erhebung von Daten im Rahmen der Öffentlichkeitsbeteiligung nach dem BauGB (Artikel 13 DSGVO)“, das mit ausliegt
Grünstadt, den 07.11.2025
Stadtverwaltung Grünstadt
Klaus Wagner, Bürgermeister